LAJUR.CO, KENDARI – Menjelang masa libur Natal dan Tahun Baru (Nataru) 2025/2026, Badan Meteorologi, Klimatologi, dan Geofisika (BMKG) mengingatkan deretan ancaman cuaca ekstrem yang diperkirakan terjadi di berbagai wilayah Indonesia.
Kepala BMKG Teuku Faisal Fathani memaparkan, periode Desember hingga pertengahan Januari akan dipenuhi sejumlah anomali atmosfer yang saling memperkuat, sehingga meningkatkan potensi hujan ekstrem, angin kencang, serta gangguan cuaca lainnya. Adapun tren bencana hidrometeorologi di Indonesia, diprediksi terus meningkat dalam 16 tahun terakhir.
“Yang perlu kita cermati adalah tren dari bencana hidrometeorologi yang cenderung naik dalam 16 tahun terakhir,” kata Faisal dalam Rapat Koordinasi Pusat dan Daerah yang digelar secara hybrid, Senin (1/12/2025).

Jawa Barat, Jawa Tengah, dan Jawa Timur tercatat sebagai wilayah dengan frekuensi bencana tertinggi, disusul Aceh, Sumatra Utara, Sumatra Barat, serta Sulawesi Selatan.
“Distribusinya kalau kita lihat, Jawa Barat ini yang paling tinggi frekuensinya, diikuti Jawa Tengah, kemudian Jawa Timur, baru kemudian Aceh dan Sumatra Utara, serta Sulawesi Selatan,” sambungnya.
Ia menjelaskan, hujan ekstrem dan angin kencang menjadi jenis bencana yang paling sering muncul di tiga provinsi besar di Jawa.
“Yang paling banyak terjadi adalah hujan ekstrem, kemudian dilanjutkan angin kencang. Tapi juga kita memiliki petir, bencana petir yang merusak infrastruktur kita, kemudian puting beliung, ada di beberapa tempat juga hujan es,” ujarnya.
Memasuki periode Nataru, rangkaian fenomena atmosfer diprediksi memicu cuaca yang lebih basah dari biasanya. Di antaranya Monsun Asia, yang mana akan meningkatkan hadirnya curah hujan yang lebih banyak di Indonesia. Kemudian ada anomali atmosfer, yang dinamakan Madden Julian Oscillation (MJO). Kemudian ada juga seruakan dingin dari Siberia.
Tak hanya itu, gelombang atmosfer seperti Kelvin dan Rossby Equator diperkirakan akan turut memicu anomali cuaca.
“Ini juga akan memperkuat terjadinya anomali cuaca yang menyebabkan hujan ekstrem,” sebut dia.
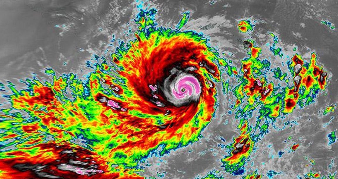
Faisal juga menyoroti meningkatnya potensi pembentukan bibit siklon tropis di selatan Indonesia selama musim hujan. Meski fenomena siklon dekat khatulistiwa sebelumnya dianggap jarang, dalam beberapa tahun terakhir kondisi itu berubah.
“Perhatian kita saat ini yaitu Indonesia yang mulai terbangkit adanya bibit siklon dan terjadinya berkembang menjadi dewasa. Walaupun ini adalah fenomena yang tidak lazim di daerah ekuator, tapi ternyata kita alami beberapa kali,” katanya.
Ia mencontohkan Taifun Senyar yang menimbulkan dampak besar karena terjebak di Selat Malaka dan menghasilkan hujan ekstrem hingga 380 mm dalam satu hari.
“Sehingga terbentuklah yang kita kenal dengan siklon Senyar. Walaupun siklon Senyar berkategori 1, menimbulkan dampak bencana yang sangat besar,” ujar Faisal.
Untuk periode Nataru tahun ini, sejumlah wilayah diprediksi menjadi zona potensi tumbuhnya bibit siklon. “Wilayah yang perlu kita waspadai, yaitu Bengkulu, Lampung, Banten, DKI Jakarta, Jawa Bali, NTB, NTT, Maluku, serta Papua Selatan dan Tengah,” bebernya.
BMKG juga memprediksi puncak hujan sangat tinggi akan berlangsung mulai 28 Desember hingga 10 Januari. “Ini yang kita waspadai, seluruh area Pulau Jawa, Bali, Nusa Tenggara Timur, ini berpotensi mengalami hujan tinggi hingga sangat tinggi. Jadi ini bertepatan dengan Nataru,” ujarnya.
Selain hujan ekstrem, BMKG memberi perhatian pada ancaman banjir rob akibat fase bulan. “Ada fase perigee dan bulan Purnama pada 4 Desember, sehingga ada kemungkinan terjadinya kenaikan muka air laut yang menyebabkan banjir rob,” jelasnya.
Dalam periode mendekati Nataru, rob diprediksi terjadi di Pantai Utara (Pantura) Jakarta, Banten, dan Jawa Barat.
BMKG memastikan berbagai layanan pemantauan cuaca telah disiapkan, termasuk radar cuaca, aplikasi pemantauan transportasi, serta posko-posko nasional hingga daerah. Namun Faisal menegaskan, bencana dapat diminimalkan jika peringatan dini segera ditindaklanjuti oleh pemerintah daerah.
“Mohon para kepala daerah juga berhati-hati dan mencermati informasi-informasi yang kami berikan. BMKG bisa diundang untuk diajak berdiskusi bagaimana persiapan-persiapan ancaman berikutnya,” katanya.
Ia pun menegaskan pentingnya kesiapsiagaan menghadapi cuaca ekstrem selama Nataru.
“Dengan demikian maka rapat ini sangat penting agar kita semua memiliki kesiapsiagaan dengan awas, siaga, menuju keselamatan. Early warning menumbuhkan early action menuju zero victim,” pungkasnya. Adm
Sumber : Cnbcindonesia.com





